本文へスキップ


土地の総合プランナー
 我が社は、安心・安全の街づくりに挑戦しつづけています。

                                                      お問合わせは
                                                      043-294-9450
                                                       ( 平日 8:30 ~ 17:30 )
                                                        千葉県千葉市緑区土気町1250番地6

      

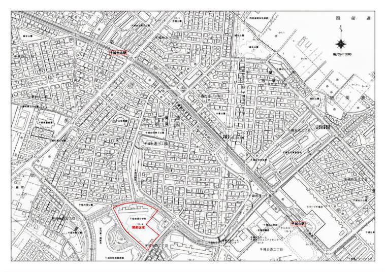
千城台プレシャスタウン販売申込受付中              

お知らせ新着情報

令和 8年 4月28日  千葉市緑区下大和田町開発計画に係る環境影響評価準備書事業者見解書を公開いたしました。
令和 8年 2月 2日  千葉市緑区下大和田町開発計画に係る準備書の公表について

           千葉市環境影響評価条例に基づき、千葉市緑区下大和田町開発計画に係る
           準備書を作成しましたので、公表致します。
           準備書のページへ
           また、準備書は以下の期間・場所で縦覧しています。
           縦覧期間:令和8年2月2日(月)~令和8年3月3日(火)
           縦覧場所:千葉市役所環境保全課
                千葉市各区役所総務課
                千葉市中央図書館

令和 8年 2月 2日  千城台プレシャスタウン第二期申込受付が始まりました。
           この物件の詳細

令和 7年 9月12日  千城台プレシャスタウン第一期申込受付が始まりました。
           この物件の詳細

令和 7年 8月30日  たかだの森グランドタウン2区画販売受付開始。
           10中旬より契約可能です。
           この物件の詳細

令和 7年 8月 8日  新規販売物件公開 誉田コアタウン隣接地
           この物件の詳細

令和 7年 4月26日  たかだの森パークタウン完売いたしました。


令和 7年 3月22日  誉田コアタウン完売いたしました。

令和 7年 3月21日  たかだの森貸駐車場オープンいたしました。
           ご予約はこちらへ

令和 7年 1月11日  花輪プレシャスタウン完売いたしました。


令和 5年 3月27日  千葉市緑区下大和田町開発計画に係る事業計画概要書の公表について
           ※インターネットによる事業計画概要書の公表については終了致しました。

令和元年 7月11日  たかだの森Coin-Laundryオープンをいたしました
           たかだの森Coin-Laundry



成約状況新着情報

令和 8年 5月11日
千城台プレシャスタウン 千城台西二丁目21-33ご成約致しました。
令和 8年 5月9日
千城台プレシャスタウン 千城台西二丁目21-55ご成約致しました。
令和 8年 5月9日
千城台プレシャスタウン 千城台西二丁目21-22ご成約致しました。
令和 8年 5月2日
千城台プレシャスタウン 千城台西二丁目21-36ご成約致しました。
令和 8年 4月25日
千城台プレシャスタウン 千城台西二丁目21-20ご成約致しました。
令和 8年 4月15日
千城台プレシャスタウン 千城台西二丁目21-37ご成約致しました。
令和 8年 3月29日
千城台プレシャスタウン 千城台西二丁目21-35ご成約致しました。
令和 8年 3月24日
千城台プレシャスタウン 千城台西二丁目21-14,21-15ご成約致しました。
令和 8年 3月20日
千城台プレシャスタウン 千城台西二丁目21-11ご成約致しました。
令和 8年 3月 5日
千城台プレシャスタウン 千城台西二丁目21-21ご成約致しました。
令和 8年 2月26日
千城台プレシャスタウン 千城台西二丁目21-4,21-38ご成約致しました。
令和 8年 2月24日
千城台プレシャスタウン 千城台西二丁目21-56ご成約致しました。
令和 8年 2月23日
千城台プレシャスタウン 千城台西二丁目21-19ご成約致しました。
令和 8年 2月19日
千城台プレシャスタウン 千城台西二丁目21-26ご成約致しました。
令和 8年 2月12日
千城台プレシャスタウン 千城台西二丁目21-49ご成約致しました。
令和 8年 2月 7日
千城台プレシャスタウン 千城台西二丁目21-54ご成約致しました。
令和 8年 1月31日
千城台プレシャスタウン 千城台西二丁目21-28ご成約致しました。
令和 8年 1月26日
千城台プレシャスタウン 千城台西二丁目21-31ご成約致しました。
令和 8年 1月16日
千城台プレシャスタウン 千城台西二丁目21-48ご成約致しました。
令和 7年11月29日
千城台プレシャスタウン 千城台西二丁目21-27ご成約致しました。
令和 7年11月23日
千城台プレシャスタウン 千城台西二丁目21-51ご成約致しました。
令和 7年10月30日
千城台プレシャスタウン 千城台西二丁目21-30ご成約致しました。
令和 7年10月29日
千城台プレシャスタウン 千城台西二丁目21-47ご成約致しました。
令和 7年10月26日
たかだの森グランドタウン 高田町401-357、401-358ご成約致しました。
令和 7年10月25日
千城台プレシャスタウン 千城台西二丁目21-29ご成約致しました。
令和 7年10月19日
千城台プレシャスタウン 千城台西二丁目21-25ご成約致しました。
令和 7年10月17日
千城台プレシャスタウン 千城台西二丁目21-50ご成約致しました。
令和 7年10月16日
千城台プレシャスタウン 千城台西二丁目21-53ご成約致しました。
令和 7年10月11日
千城台プレシャスタウン 千城台西二丁目21-52ご成約致しました。
令和 7年 8月 7日
たかだの森ニュータウン 高田町416-233ご成約致しました。
令和 7年 8月 2日
たかだの森ニュータウン 高田町416-232ご成約致しました。
令和 7年 4月26日
たかだの森パークタウン 完売致しました。
令和 7年 3月22日
誉田コアタウンが完売しました。
令和 7年 1月11日
花輪プレシャスタウンが完売しました。
令和 3年 9月30日
たかだの森ネクストタウン2工区完売致しました。
令和 3年 9月19日
たかだの森ネクストタウン1工区完売致しました。
令和 3年 3月19日
誉田プレシャスタウンが完売致しました。
令和 3年 1月 9日
たかだの森ガーデンタウン2期が完売致しました。
  
  
  
   






























































































   /

たかだの森ニュータウン たかだの森ネクストタウン 誉田プレシャスタウン たかだの森ガーデンタウン